7
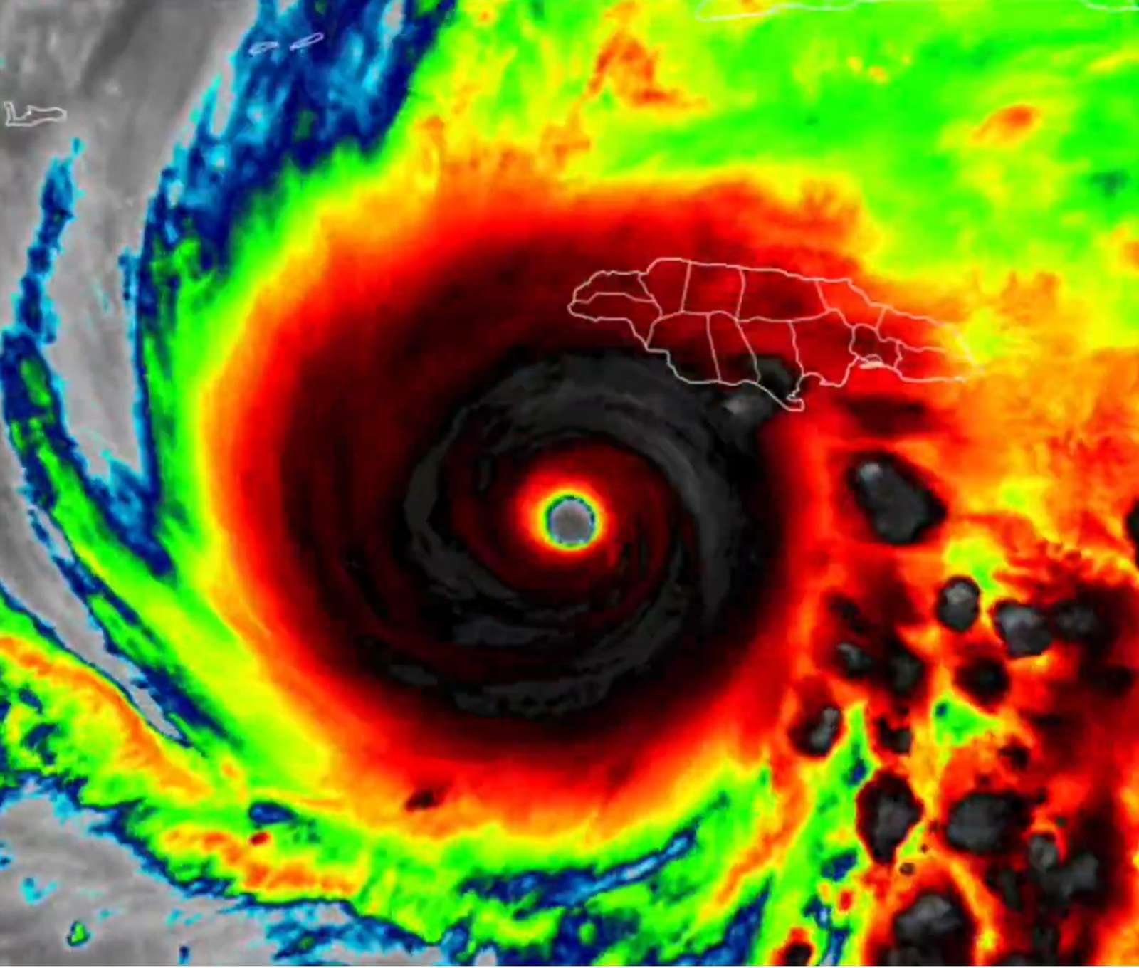
C’est une rafale de vent historique qui a été mesurée par la NOAA le 28 octobre dernier : 406 km/h et celle-ci s’est produite à l’intérieur d’un phénomène dévastateur.[Lire l'article en intégralité]
Source: https://www.futura-sciences.com
C’est une rafale de vent historique qui a été mesurée par la NOAA le 28 octobre dernier : 406 km/h et celle-ci s’est produite à l’intérieur d’un phénomène dévastateur.[Lire l'article en intégralité]
Source: https://www.futura-sciences.com


Autosuffisance est un blog gratuit qui centralise et relai actualités, conseils pratiques, ressources en ligne pour les particuliers et professionnels qui souhaitent s’informer, comprendre et agir face aux enjeux futurs.
© Copyright Autosuffisance 2024